Precision agriculture with DJI PHANTOM 4PRO RTK/PPK MULTISPECTRAL
Precision agriculture is a farming management concept based on observing, measuring and responding to inter and intra-field variability in crops. The goal of precision agriculture research is to define a decision support system (DSS) for whole farm management with the goal of optimizing returns on inputs while preserving resources.
Topodrone team has developed a set of equipment for precise agriculture on the basis of DJI Phantom 4PRO which are relatively inexpensive and can be operated by novice pilots. These agricultural drone is equipped with survey grade GNSS receiver, PARROT SEQUOIA multi-spectral camera and 20 Mp DJI RGB camera to capture many images of a field that can be processed using photogrammetric methods to create orthophotos and NDVI maps.
It allows to carry in multispectral surveying and obtain the coordinates of the phots position with centimeter accuracy. Now you can process data in Photoscan or Pix4D, etc. software and turn your images into highly precise, georeferenced multispectral 2D NDVI maps and 3D models without ground control points (GCP).
We designed foldable mount for Parrot Sequoia camera. The camera can be easily installed on the drone and powered. You don’t need to use additional power bank, etc.
Mission planning and aerial survey by DJI PHANTOM 4PRO RTK/PPK MULTISPECTRAL and further photogrammetric processing of multispectral images are similar with technology of geodetic aerial survey which was described in many details in our BLOG .
Step1. Setup a base station on a point with known coordinates.
Step2. Create Flight mission in any applications available (for example, Pix4D, MapPilot, DJI GS Pro, etc.).
Step.3 After the flight, download GNSS raw data from a drone and base, copy photos from DJI and Sequoia cameras.
In the next step, post-processing of GNSS measurements to be performed to determine the high-precision image location, then use Toposetter app to embed accurate coordinates to photos and import them to photogrammetric processing software where automated photogrammetric processing is performed using the exact position of the images. As a result you receive a set of 3D model and multispectral 2D orthomaps with a accuracy of 3 — 7 cm depending of the flight altitude.





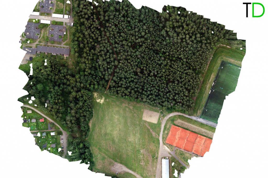
Pilot project carried out by Topodrone team of multispectral aerial forest survey in the province of Pohjois-Karjala Finland, showed the possibility of creating a high-precision image mosaic in the multispectral and visible ranges.
For data processing no additional work was required to lay ground control points, which made it possible to simplify the process of field work in the forest area and significantly shortened the project implementation time.
The joint processing of the obtained data allowed a remote method to determine the species, location and height of trees, as well as to find diseased and drying plants.
Summary
DJI PHANTOM 4PRO PPK + SEQUOIA camera is a low cost, easy to use tool for precision agriculture such as:
— monitoring of forest areas,
— determination of qualitative and quantitative characteristics of forest areas,
— control of logging;
— real time monitoring of crops condition;
— determination of the vegetative index.
Start cooperation with an individual consultation on the selection of equipment and services.
|
Order service
|